Skip to content
io9

Penis 2.0: Here’s What the Penis of the Future Should Look Like

By

Reading time 7 minutes

Comments (0)

Like our brains, the human penis hasn’t evolved in tens of thousands of years — and that’s a real shame. Our favorite male body part is capable of so much more. In consideration of pending advances in science and technology, here’s what to expect with penis 2.0.

Before we get started it’s important to point out that much of what I describe below is pure speculation; think of this post as a “wish list” of features we’d like to see in a future version of the human penis. Indeed, many of the proposed enhancements and augmentations are nowhere near prime time, and many have never even been considered by the scientific and medical communities. With all that said, I did my best to describe how we might actually make some of this happen.

Disease Resistance

First and foremost, the penis of the future must be resistant to sexually transmitted diseases. According to the Center for Disease Control, there are about 20 million new infections of STDs in the U.S. each year, burdening the American healthcare system to the tune of $16 billion in direct medical costs. STDs are transmitted a number of ways, including through the blood, vaginal fluids, and semen. They can also be spread via infected skin or mucous membranes, such as sores in the mouth. Exposure typically occurs through vaginal, anal, or oral sex.

Researchers at the University of California at San Diego have developed temporary electronic tattoos. Similar technology could be applied to penis 2.0. Image credit: Todd Coleman/UCSD

Consequently, penis 2.0 won’t be able to account for all the various ways STDs are contracted and transmitted. But a ramped up genital system, in conjunction with a juiced-up immune system, could help mitigate risk. For instance, a high-tech penis could be implanted with bio-sensors that detect specific foreign pathogens, alerting the rest of the body to their presence. Once alerted, the heightened immune system could attack the pathogens any number of ways, such as dispatching genetically engineered viruses, nanobots, or chemical compounds toxic to the offenders. What’s more, a cybernetic penis — which would be more synthetic than biological — is less likely to be susceptible to infection. (Then again, any penis with blood flowing through it would probably give pathogens access to the rest of the body.)

Birth Control on Demand

Men will eventually have a birth control pill to call their own. But even then, there will be side-effects and inconveniences to consider. Indeed, the detrimental effects of hormonal male contraception is well known, including weight gain, loss of libido, gynecomastia (enlarged breasts), liver function impairment, acne, and changes in good and bad cholesterol. Not to mention any unknown side effects to offspring. Moreover, a daily regimen of pill-taking is not anything anyone should have to endure, whether they be male or female. What’s needed is something a bit more on-demand.

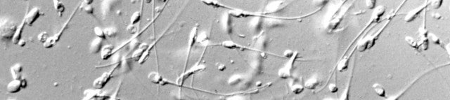
A future male reproductive system might feature a fertility toggle switch that could block the passage of sperm to the seminal fluid. This could be done by stationing nanobots in the vas deferens, the channel where semen and sperm combine; a simple command, either via chemical circuits or some other chemical or viral signaling mechanism, could mobilize them to construct a sperm-blocking barrier—like a temporary vasectomy. Or, the nanobots could be on the hunt for sperm-specific proteins, and take evasive action. (Image: Eubios)

Alternately, the body could be programmed to produce a potent spermicide in the testes that kills sperm on contact. The challenge will be to find a way to quickly disable this feature and restore sperm to nominal levels. Scientists might also devise a genetic switch that can turn sperm production on and off — but again, it could take time for the sperm to bounce back (it takes 60 days to make sperm), not to mention peripheral side-effects related to testosterone production.

Speaking of which, a future reproductive system — or reproductive system 2.0 — should also ensure consistent levels of testosterone production to stave off age-related issues such as disturbed sleep, loss of libido, and reduced muscle mass.

No More Erectile Difficulties

The National Institutes of Health estimate that erectile dysfunction (ED) affects as many as 30-million men in the United States, and that by 2025 it could affect as many as 300-million globally. Products like Viagra, Levitra, and Cialis have helped tremendously, but they’re expensive,they can cause side effects (like flushing, stomach upset, diarrhea, flu-like symptoms, muscle and back pain, and more), and can result in inconveniently long-lasting erections.

Future interventions to treat ED are on their way, and they may arrive before the cybernetic penis. Advances in pharmacotherapy, gene therapy, regenerative medicine (like nerve grafts), and a new drug called avanafil all look promising.

But mechanical things can also go wrong with the penis, including damage and age-related impairments to nerves, arteries in and near the corpora cavernosa (the sponge-like cylindrical structures in the shaft of the penis), smooth muscles, and fibrous tissues; erectile function depends on the structural integrity and organization of collagen fibers around the corpora cavernosa, and collagen has a notoriously bad time repairing itself. To alleviate these problems, a future penis could be made capable of self-repair, both to tissues and cells. Genetic engineering would likely be the best approach. More practically, an artificial penis (more on this later) could be designed to withstand age-related degradation.

Multiple Orgasms

Speaking of erections: After a man ejaculates, his penis goes limp. Depending on the guy (age is definitely a factor), it can take anywhere from a few minutes to a few hours to regain the capacity for an erection. This variable length of time, called the refractory period, constrains a man’s ability to achieve orgasms in relatively quick succession.

There are a number of theories that attempt to explain the refractory period, but many scientists believe there’s a chemical link. Males release a significant amount of the oxytocin hormone during ejaculation, along with prolactin — a compound that suppresses dopamine, which is responsible for sexual arousal. Consequently, the refractory period isn’t caused by a deficiency in the penis per se; rather, it’s something that stems from the brain.

One way to shorten the refractory period may be to introduce prolactin inhibitors. In future, the body could be engineered to automatically synthesize these compounds and trigger their release after an orgasm. Ideally, however, penis 2.0 should be able to get erect on demand, and not be limited by autonomic bodily processes.

Enhanced Sensitivity and Climaxes

The penis in already quite sensitive in its natural state, but there’s no reason we can’t make a good thing better.

The skin tissue around the penis is equipped with nerve fibers that detect touch, temperature, pain, pleasure, and itch. But as for the experience of pleasure itself, that happens in the brain, particularly in the so-called hedonic hotspots, including the nucleus accumbens, posterior ventral pallidum, amygdala, and other cortical and subcortical regions. So, to make the sensations around the penis feel even more pleasurable, and to make orgasms feel even better, neuroscientists of the future will have to find a way to trigger and excite these brain areas as they correspond to incoming sensory information from the penis. This could be done in conjunction with treatments that increase the nerve density of the penis, but this would have to be done in such a way that the penis doesn’t become hyper-sensitive.

Scientists have already used deep brain stimulation to affect and excite the nucleus accumbens, but finding something less invasive will prove to be a challenge. One possible avenue might be to link signals coming from the penis’s nerve fibers to a transcranial magnetic stimulation device (TMS) or a transcranial direct-current stimulation device (tDCS). In the future, such devices could be made internal via implants. To assist with this, advanced electronic skin patches, like the one developed by researchers from Seoul National University, could be used to collect and transmit data to and from the area being stimulated.

Adjustable Shape and Surface Structure

Some guys would like their penises to be of a certain size or girth, either for aesthetic or functional purposes. At the same time and for similar reasons, a penis should be able to meet the demands of a discriminating partner. Ideally, men should be able to change the smoothness of their penis, or its surface structure. Penis 2.0 should be like an on-demand French tickler, with modifiable ridges, grooves, and bumps to enhance the sexual pleasure of the receiver.

Something like this? Credit: Crystal Condoms

Engineering a penis with these features will be a monumental technical challenge, and may require considerable advances in both cybernetics and materials technology. It may even require an entirely new penis design altogether. But penis transplants are not as outrageous as they may seem; physicians have already transplanted fully functional penises in patients. In the future, a synthetic penis, composed of both natural and artificial components, could be prepared in the lab for eventual transplantation.

Vibrator and Hands Free Modes

If we’re going to start bioengineering and transplanting cyborg penises, it should be capable of much more than just changing shape. A future penis should also act like a vibrator, buzzing away for the pleasure of both sender and receiver. Armed with this feature you’ll finally be able to throw away your awkward Fleshlight. With the vibrating, hands-free penis, you’ll be able to bring yourself to climax simply by thinking about it.

Internet Ready

Last but not least, our penis of the future should be able to connect to the Internet.

Once your dick is online you’ll be able to participate in virtual sex. Today, this is done through teledildonics; Internet sex toys are already making it possible to “access” your long-distance partner. But with the enhanced, Internet-ready penis, no external devices will be required.

You could also use your bluetooth-enabled penis to track and transmit biometric data and other statistics to an online app. You’ll be able to set weekly goals for your sex life and monitor health-related issues. Call it quantified cock. Oh, and a connection to the Internet will also allow you to update any software that’s resident in your upgraded penis.


Contact the author at [email protected] and @dvorsky. Top image by Jim Cooke.

Share this story

Sign up for our newsletters

Subscribe and interact with our community, get up to date with our customised Newsletters and much more.